Monatskilometerstände für den lfd. Wettbewerb 2017
Forumsregeln
Impressum & Rechtshinweise
Impressum & Rechtshinweise
- k60
- Beiträge: 570
- Registriert: Sa 25. Dez 2010, 15:47
- Wohnort: Unna
- Land: NRW Deutschland
- Motorrad: BMW R 1200 RT LC
- Baujahr: 2014
- Danksagung erhalten: 1 Mal
Re: Monatskilometerstände für den lfd. Wettbewerb 2017
Hier meine Km's

Gruß Klaus 
NICHTS IST WERTVOLLER, ALS DER NÄCHSTE TAG!
NICHTS IST WERTVOLLER, ALS DER NÄCHSTE TAG!
- Cyrell Snear
- Beiträge: 388
- Registriert: Mi 28. Nov 2012, 16:15
- Wohnort: Mülheim
- Land: NRW
- Motorrad: Honda CBF 600 SA
- Baujahr: 2007
- Wohnort: Mülheim an der Ruhr
- Danksagung erhalten: 11 Mal
Re: Monatskilometerstände für den lfd. Wettbewerb 2017
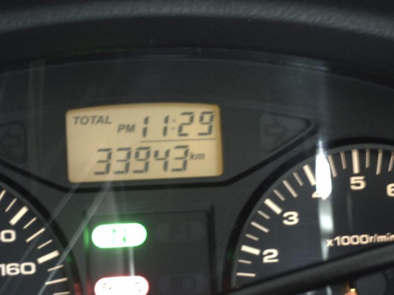
Hier ein Foto von unserem bernd55. Ich habe die Hoffnung noch nicht aufgegeben, daß er das hier irgendwann einmal alleine schafft. 
- Dateianhänge
-
- Tacho Bernd.jpg (18.5 KiB) 3208 mal betrachtet
Wer Tippfehler findet, darf sie behalten.
- kawafrank
- Beiträge: 152
- Registriert: Fr 1. Mai 2015, 15:52
- Wohnort: Lüdenscheid
- Land: Deutschland
- Motorrad: Kawasaki Z 750 S
- Baujahr: 2006
- Wohnort: Lüdenscheid
- Danksagung erhalten: 1 Mal
Re: Monatskilometerstände für den lfd. Wettbewerb 2017
Morgen wird nicht mehr gefahren aber im Februar ist es im Gegensatz zum Januar doch ein bischen was geworden:
Kawasaki Z 750 S > 84618Km
DLzG
Kawasaki Z 750 S > 84618Km
DLzG
- Godzilla
- Beiträge: 47
- Registriert: So 22. Feb 2015, 20:18
- Wohnort: Stans
- Land: Schweiz
- Motorrad: KTM 1190 Adventure T
- Baujahr: 2014
- Wohnort: Stans, Schweiz
- Kontaktdaten:
Re: Monatskilometerstände für den lfd. Wettbewerb 2017
Tachostand Ende Februar 81'197 km
Gefahrene Kilometer im Februar 1'129 km

Gefahrene Kilometer im Februar 1'129 km

Gruss
Beat
http://www.youtube.com/user/MrGODZILLA1966?feature=mhee" onclick="window.open(this.href);return false;
Beat
http://www.youtube.com/user/MrGODZILLA1966?feature=mhee" onclick="window.open(this.href);return false;
-
Bonsai
- Beiträge: 154
- Registriert: Sa 17. Okt 2009, 15:05
- Wohnort: 79725 Laufenburg
- Land: Deutschland
- Motorrad: BMW R 1200 GS Adv
- Baujahr: 2007
- Danksagung erhalten: 6 Mal
Re: Monatskilometerstände für den lfd. Wettbewerb 2017
Für Feb. an meiner ADV Tachostand 139.000 Km
Bonsina's ADV hat nun 78.250 Km auf dem Tacho...
Bonsina's ADV hat nun 78.250 Km auf dem Tacho...
- lothilde
- Beiträge: 163
- Registriert: Mi 23. Dez 2009, 14:27
- Wohnort: Höchstädt an der Donau
- Land: Deutschland
- Motorrad: 1200 GS Rallye
- Baujahr: 2018
- Wohnort: Höchstädt an der Donau
Re: Monatskilometerstände für den lfd. Wettbewerb 2017
Hallo,
für Februar 0 km gefahren.
Gruß
Lothar
für Februar 0 km gefahren.
Gruß
Lothar
-
RolandR
- Beiträge: 177
- Registriert: Do 11. Aug 2011, 22:11
- Wohnort: Bochum
- Land: Deutschland
- Motorrad: Honda CBF 1000
- Baujahr: 2007
- Wohnort: Bochum
- Danksagung erhalten: 2 Mal
Re: Monatskilometerstände für den lfd. Wettbewerb 2017
Hallo,
mein Kilometerstand zum 28.02.2017
24844
mein Kilometerstand zum 28.02.2017
24844
________________
Allzeit gute Fahrt
Roland
Allzeit gute Fahrt
Roland
- resi
- Beiträge: 148
- Registriert: Fr 9. Apr 2010, 10:06
- Wohnort: CH - 5037 MUHEN
- Land: Schweiz
- Motorrad: BMW F650GS
- Baujahr: 2001
- Wohnort: Muhen/ Aargau/Schweiz
- Hat sich bedankt: 8 Mal
- Danksagung erhalten: 5 Mal
- Kontaktdaten:
Re: Monatskilometerstände für den lfd. Wettbewerb 2017
Mein Kilometerstand am 28.2.2017
181386 Kilometer
Grüsse aus der verschneiten Schweiz
HJ
181386 Kilometer
Grüsse aus der verschneiten Schweiz
HJ
Viele Grüsse
Hans-Jürg
Hans-Jürg
-
dieter
- Beiträge: 190
- Registriert: Mo 24. Aug 2009, 20:24
- Wohnort: 78669 Wilflingen
- Land: Deutschland
- Motorrad: CBF 1000
- Baujahr: 2006
- Hat sich bedankt: 1 Mal
- Danksagung erhalten: 3 Mal
Re: Monatskilometerstände für den lfd. Wettbewerb 2017
Hallo
Tachostand gleich geblieben 52 920, also 0 KM gefahren
Gruß Dieter
Tachostand gleich geblieben 52 920, also 0 KM gefahren
Gruß Dieter
-
Winfried Baier-v.Hunoltstein
- Beiträge: 152
- Registriert: Mo 31. Aug 2009, 19:03
- Wohnort: Kitzingen
- Land: Deutschland
- Motorrad: suzuki xf 650 freewind, yamaha mt09 tracer
- Baujahr: 1998
Re: Monatskilometerstände für den lfd. Wettbewerb 2017
suzuki XF 650 Freewind: km-stand alt: 83.060 km-stand neu: 84.596 = 1.536 km
yamaha MT09 Tracer: km-stand alt: 31.679 km-stand neu 32.600 = 921 km
------------------------------------------------------------------------------------------------
zusammen also im Februar 2.457 km gefahren
yamaha MT09 Tracer: km-stand alt: 31.679 km-stand neu 32.600 = 921 km
------------------------------------------------------------------------------------------------
zusammen also im Februar 2.457 km gefahren